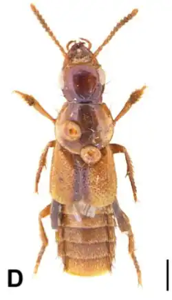
Quedius piceolineatus

Quedius piceolineatus
Scientific classification Edit this classification
Kingdom: Animalia
Phylum: Arthropoda
Class: Insecta
Order: Coleoptera
Suborder: Polyphaga
Infraorder: Staphyliniformia
Family: Staphylinidae
Genus: Quedius
Species:
Q. piceolineatus
Binomial name
Quedius piceolineatus
Scheerpeltz, 1965
Synonyms
  • Quedius (Microsaurus) piceolineatus Scheerpeltz, 1965

Quedius piceolineatus is a species of beetle of the family Staphylinidae. It is found in Myanmar (Kachin).[1]

References