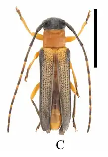
Nupserha testaceipes

Nupserha testaceipes
Scientific classification Edit this classification
Kingdom: Animalia
Phylum: Arthropoda
Class: Insecta
Order: Coleoptera
Suborder: Polyphaga
Infraorder: Cucujiformia
Family: Cerambycidae
Genus: Nupserha
Species:
N. testaceipes
Binomial name
Nupserha testaceipes
Pic, 1926
Synonyms
  • Nupserha testaceipes Pic, 1926
  • Nupserha batesi Gressitt, 1937
  • Nupserha testaceipes m. basinigra Breuning, 1960
  • Nupserha testaceipes m. unicoloricornis Breuning, 1961

Nupserha testaceipes is a species of beetle in the family Cerambycidae. It was described by Maurice Pic in 1926.[1] This species is found in China (Sichuan, Hubei, Guizhou, Heilongjiang, Jilin, Guangxi, Hainan, Shandong, Guangdong, Gansu, Fujian, Hunan, Jiangsu, Jiangxi, Zhejiang, Anhui).[2]

References

  1. ^ BioLib.cz - Nupserha testaceipes. Retrieved on 8 September 2014.
  2. ^ Tavakilian, G.; Chevillotte, H. "Nupserha testaceipes Pic, 1926". Base de données Titan sur les Cerambycidés ou Longicornes. IRD-MNHN. Retrieved 4 July 2025.