Beirut/Street names
< Beirut
Beirut Municipality Sector Maps
The following maps are available on the web site of the city of Beirut. Because the site sometimes goes offline, we keep a copy of the maps here.
- Each map covers a sector within a quarter of the city.
- Street names are available in both French and Arabic.
| Sector number | Quarter | Sector | Map |
|---|---|---|---|
| 11 | Marfaa-Port of Beirut | Nejmeh Square |
|
| 12 | Marfaa-Port of Beirut | Majidiye |
|
| 14 | Marfaa-Port of Beirut | Marfaa-Port of Beirut |
|
| 15 | Marfaa-Port of Beirut | Nouveau Secteur |
|
| 20 | Minet El Hosn | Minet El Hosn |
|
| 21 | Minet El Hosn | Bab Idriss |
|
| 22 | Minet El Hosn | Kantari |
|
| 23 | Zokak El-Blat | Serail |
|
| 24 | Zokak El-Blat | Patriarcat |
|
| 25 | Bachoura | Basta Tahta |
|
| 26 | Bachoura | Bachoura |
|
| 27 | Achrafieh | Université Saint Joseph |
|
| 28 | Saifi | Mar Maroun |
|
| 29 | Saifi | Gemmayze |
|
| 30 | Dar Mreisse | Ain El Mreisse |
|
| 31 | Dar Mreisse | American University of Beirut |
|
| 32 | Ras Beirut | Jounblat -Port of Beirut |
|
| 33 | Ras Beirut | Snoubra |
|
| 34 | Ras Beirut | Hamra |
|
| 35 | Dar Mreisse | Ras Beirut |
|
| 36 | Ras Beirut | Manara - Light House |
|
| 37 | Ras Beirut | Koreitem |
|
| 38 | Ras Beirut | Raoucheh |
|
| 39 | Ras Beirut | Ain El Tine |
|
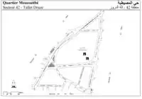
| 42 | Moussaitbe | Tallet Druze |
|
| 44 | Moussaitbe | Dar Al Fatwa |
|
| 45 | Moussaitbe | Tallet Khayat |
|
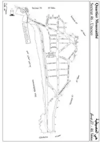
| 46 | Moussaitbe | Unesco |
|
| 47 | Moussaitbe | Mar Elias |
|
| 48 | Moussaitbe | Wata |
|
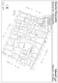
| 49 | Moussaitbe | Moussaitbe |
|
| 50 | Mazraa | Borj Abi Haidar |
|
| 51 | Mazraa | Basta Faouka |
|
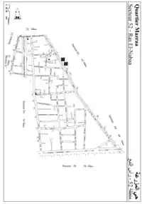
| 52 | Mazraa | Ras El Nabaa |
|
| 53 | Mazraa | Mazraa |
|
| 55 | Mazraa | Malaab |
|
| 56 | Mazraa | Tariq El Jedide |
|
| 58 | Mazraa | Parc |
|
| 59 | Mazraa | El Aamiliye |
|
| 61 | Achrafieh | Furn El Hayek |
|
| 62 | Achrafieh | Nasra |
|
| 63 | Achrafieh | Achrafieh |
|
| 65 | Achrafieh | Mar Mitr |
|
| 66 | Achrafieh | Palais de Justice |
|
| 72 | Medawar | Rmeil |
|
| 73 | Rmeil | Al Hikmat |
|
| 74 | Rmeil | Hopital Orthodoxe |
|
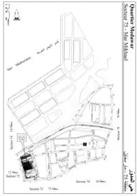
| 75 | Medawar | Mar Mikhael |
|
| 76 | Medawar | Khodr |
|
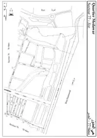
| 77 | Medawar | Jisr |
|
| 78 | Rmeil | Getawi |
|
| 79 | Rmeil | Qobaiyat |
|



















































